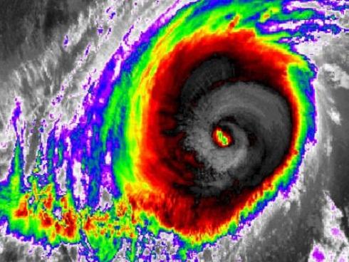
Siêu bão Hagibis dự kiến sẽ quét qua thủ đô Nhật Bản trong hôm nay (12/10) và là cơn bão tồi tệ nhất từng ảnh hưởng tới quốc đảo này trong 60 năm qua.
Siêu bão Hagibis chưa đổ bộ nhưng đã gây ra sự gián đoạn lớn tới World Cup bóng bầu dục đang diễn ra ở nước này. Hai trận đấu đã bị hủy bỏ.
Ngoài ra, các chuyến bay, dịch vụ tàu hỏa cũng bị ngưng trệ khi Nhật Bản đang trải qua những trận gió mạnh, mưa lớn trước cơn bão.
Theo Standard, đây là cơn bão mạnh nhất từng đổ bộ tới Tokyo kể từ năm 1958. Cơ quan khí tượng Nhật Bản cho biết, người dân nên chuẩn bị sẵn sàng trước nguy cơ sóng lớn và nước dâng.
Thủ tướng Nhật Bản Shinzo Abe đã chỉ thị các bộ trưởng nội các làm hết sức có thể để bảo đảm an toàn cho người dân.
Theo The Guardian, cơn bão có thể mang lại lượng mưa và gió kỷ lục. Disneyland của Tokyo cũng sẽ đóng cửa do lo ngại sức ảnh hưởng của bão, đây là động thái đóng cửa do thời tiết lần đầu tiên của Disneyland kể từ năm 1984.
Ngoài ra, The Hill cho hay, trên mạng xã hội Twitter cũng xuất hiện những hình ảnh chụp thành phố Tokyo trước khi bão đổ bộ.
Những hình ảnh, thậm chí cả video, cho thấy bầu trời thành phố chuyển sang màu tím kỳ dị trước cơn bão Hagibis. Hình ảnh đã được lan truyền trên mạng xã hội từ một tài khoản Twitter về thời tiết.






Bầu trời Nhật Bản chuyển màu tím kỳ dị khi siêu bão Hagibis sắp đổ bộ. Ảnh: Twitter.
Theo Lao Động
