Theo bản tin của Trung tâm dự báo KTTV quốc gia về bão gần Biển Đông (bão Yutu), hồi 13h hôm nay, vị trí tâm bão ở vào khoảng 16,8 độ Vĩ Bắc; 125,2 độ Kinh Đông, cách đảo Luzon (Philippiné) khoảng 320km về phía Đông. Sức gió mạnh nhất vùng gần tâm bão mạnh cấp 14 (150-185km/h), giật trên cấp 16.

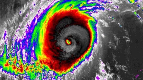
Đường kính của bão Yutu rộng 600km. Ảnh: ABS-CBN News
Dự báo trong 24h tới, siêu bão di chuyển theo hướng Tây, mỗi giờ đi được 15-20km, đến 13h mai, vị trí tâm bão ở khoảng 16,7 độ Vĩ Bắc; 120,2 độ Kinh Đông, ngay trên bờ biển phía Tây đảo Luzon, sức gió mạnh nhất vùng gần tâm bão mạnh cấp 12-13 (115-150km/h), giật cấp 15.
Do ảnh hưởng của bão, ở khu vực Đông Bắc Biển Đông từ sáng ngày mai có mưa bão, gió mạnh cấp 7-9, từ chiều mai mạnh dần lên cấp 10-11, vùng tâm bão đi qua cấp 12-13, giật cấp 15, biển động dữ dội.
Trong 24-48h tiếp theo, bão di chuyển theo hướng Tây Tây Bắc, mỗi giờ đi được khoảng 15km. Đến 13h ngày 31/10, vị trí tâm bão ở khoảng 17,5 độ Vĩ Bắc; 117,4 độ Kinh Đông, cách quần đảo Hoàng Sa khoảng 560km về phía Đông Bắc. Sức gió mạnh nhất vùng gần tâm bão mạnh cấp 12 (115-135km/giờ), giật cấp 14.
Để chủ động ứng phó với diễn biến của bão, Ban chỉ đạo TƯ về PCTT - Ủy ban Quốc gia ứng phó sự cố, thiên tai và TKCN đề nghị Ban chỉ huy PCTT&TKCN các tỉnh, thành phố; các bộ, ngành:
Thông báo cho chủ và thuyền trưởng các phương tiện, tầu, thuyền đang hoạt động trên biển biết diễn biến, vị trí, hướng di chuyển của bão để chủ động phòng, tránh; không đi vào nguy hiểm. Vùng nguy hiểm trên biển Đông trong 24 giờ tới phía Bắc vĩ tuyến 14,0 độ Vĩ Bắc, phía Đông kinh tuyến 117,5 độ Kinh Đông và sẽ được điều chỉnh tại các bản tin của cơ quan Trung tâm dự báo.
Tổ chức rà soát, kiểm đếm tàu thuyền, phương tiện trên biển, nhất là các tàu hoạt động xa bờ; hướng dẫn neo đậu tàu thuyền tại nơi trú tránh; triển khai phương án đảm bảo an toàn cho người và công trình hạ tầng, nhà cửa trên các đảo. Sẵn sàng lực lượng, phương tiện để cứu hộ, cứu nạn khi có yêu cầu.
Bộ GTVT chỉ đạo cơ quan chức năng tăng cường việc thông tin và hướng dẫn di chuyển, neo đậu đối với các tàu vận tải, tàu hàng, tàu vãng lai để tránh thiệt hại đáng tiếc như cơn bão số 12 năm 2017.
Bộ Ngoại giao liên hệ với các quốc gia và vùng lãnh thổ liên quan để hỗ trợ việc tàu thuyền trú tránh đảm bảo an toàn khi có yêu cầu.
Trung tâm dự báo KTTV quốc gia cập nhật thường xuyên, kịp thời thông tin dự báo, cảnh báo về bão.
Các cơ quan thông tấn, báo chí thường xuyên cập nhật thông tin về diễn biến của bão, tăng cường thông tin trên các phương tiện thông tin đại chúng để các cấp chính quyền, chủ và thuyền trưởng các phương tiện, tầu, thuyền hoạt động trên biển, người dân biết để chủ động phòng tránh.
Tổ chức trực ban nghiêm túc 24/24 giờ, thường xuyên báo cáo về Ban chỉ đạo TƯ về PCTT và Ủy ban Quốc gia ứng phó sự cố, thiên tai và TKCN.
Theo Vietnamnet
